Baca berita tanpa iklan. Gabung Kompas.com+

Polemik SHM di Pesisir Pantai Sumenep, Walhi Jatim Bersuara

Kompas.com, 27 Januari 2025, 11:53 WIB
Nur Khalis,
Glori K. Wadrianto

Tim Redaksi

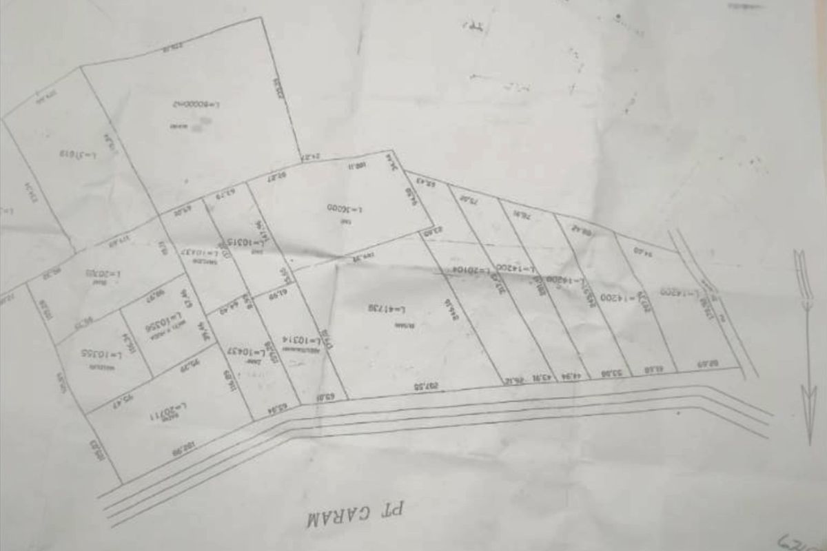
SUMENEP, KOMPAS.com - Polemik kepemilikan SHM di pesisir pantai di Desa Tapakerbau, Kecamatan Gapura, Kabupaten Sumenep, Jawa Timur, terus bergulir.

Direktur Eksekutif Wahana Lingkungan Hidup Indonesia (Walhi) Jawa Timur, Wahyu Eka Styawa, meminta Pemerintah Provinsi Jawa Timur dan Pemerintah Kabupaten Sumenep memberi akses dan perlindungan kepada masyarakat lokal.

Hal ini penting agar warga tetap dapat mengelola sumber daya pesisir secara berkelanjutan. "Jangan sampai warga lokal tidak dilindungi," kata Wahyu.

Baca juga: Warga Adukan soal SHM Pesisir Sumenep ke Menkopolhukam, Gubernur, tetapi Diabaikan

Menurut dia, Pemerintah Provinsi Jawa Timur dan Kabupaten Sumenep jangan sampai menerbitkan izin di kawasan tersebut.

Pemerintah seharusnya konsekuen dengan melindungi wilayah pesisir dan mangrove sebagai bagian dari ekosistem yang vital bagi kehidupan masyarakat pesisir.

"Jangan sampai pemerintah, baik Pemprov atau Pemkab, menerbitkan izin di wilayah tersebut," sambung Wahyu.

Baca juga: Soal SHM di Pesisir Sumenep, Warga Sebut Ombudsman Nyatakan Tak Ada Malaadministrasi

Secara khusus, Walhi meminta agar Pemerintah Provinsi Jawa Timur  konsekuen menjalankan Perda Nomor 10 Tahun 2023 tentang RTRW, yang menyebut kawasan pesisir Sumenep termasuk zona lindung.

Walhi juga mendesak ATR/BPN segera mencabut Sertifikat Hak Milik (SHM) di wilayah pesisir dan laut di Desa Gersik Putih. "Kami menolak segala bentuk privatisasi di wilayah pesisir Gersik Putih," tegas dia.

Dalam segala situasi, KOMPAS.com berkomitmen memberikan fakta jernih dari lapangan. Kirimkan Apresiasi Spesial untuk mendukung Jurnalisme. Berikan apresiasi sekarang



Terkini Lainnya
Kesaksian Tour Leader di Bangsring Banyuwangi: Pelaku Ancam, Jika Tak Bayar, Bus Tak Bisa ke Luar
Kesaksian Tour Leader di Bangsring Banyuwangi: Pelaku Ancam, Jika Tak Bayar, Bus Tak Bisa ke Luar
Surabaya
Sebagian Rombongan Wisata Korban Pemalakan di Bangsring Underwater Banyuwangi Ternyata Lansia
Sebagian Rombongan Wisata Korban Pemalakan di Bangsring Underwater Banyuwangi Ternyata Lansia
Surabaya
Banjir Genangi Jalan Pantura Baluran Situbondo, Arus Lalu Lintas Melambat
Banjir Genangi Jalan Pantura Baluran Situbondo, Arus Lalu Lintas Melambat
Surabaya
Rombongan Wisatawan Disandera dan Dipalak Rp 150.000, Pemkab Banyuwangi: Pelaku Bukan Pengelola Resmi
Rombongan Wisatawan Disandera dan Dipalak Rp 150.000, Pemkab Banyuwangi: Pelaku Bukan Pengelola Resmi
Surabaya
Pelaku Pungli 'Uang Pengawalan' Bus Wisata di Banyuwangi Dikenai Sanksi Wajib Lapor
Pelaku Pungli "Uang Pengawalan" Bus Wisata di Banyuwangi Dikenai Sanksi Wajib Lapor
Surabaya
Ditangkap Polisi, 2 Pelaku Pungli Bus Pariwisata di Banyuwangi Minta Maaf
Ditangkap Polisi, 2 Pelaku Pungli Bus Pariwisata di Banyuwangi Minta Maaf
Surabaya
Polisi Ciduk 2 Penyandera Bus Wisata di Banyuwangi, Pengakuan Pelaku: Beli Sembako untuk Warga
Polisi Ciduk 2 Penyandera Bus Wisata di Banyuwangi, Pengakuan Pelaku: Beli Sembako untuk Warga
Surabaya
Bus Pariwisata di Banyuwangi Ditahan Preman karena Tak Bayar 'Uang Pengawalan', Penyandera Ditangkap
Bus Pariwisata di Banyuwangi Ditahan Preman karena Tak Bayar "Uang Pengawalan", Penyandera Ditangkap
Surabaya
Bus Wisatawan Jadi Tawanan Warga Lokal di Banyuwangi Gara-gara Tak Bayar Rp 150.000
Bus Wisatawan Jadi Tawanan Warga Lokal di Banyuwangi Gara-gara Tak Bayar Rp 150.000
Surabaya
Residivis Pencurian Ternak Serang Polisi Pakai Parang, Pelaku Tewas Tertembak
Residivis Pencurian Ternak Serang Polisi Pakai Parang, Pelaku Tewas Tertembak
Surabaya
Pemkot Surabaya Bakal Gelar Acara Galang Dana untuk Korban Banjir Sumatera
Pemkot Surabaya Bakal Gelar Acara Galang Dana untuk Korban Banjir Sumatera
Surabaya
Sikapi Polemik PBNU, Pengasuh Pesantren Tebuireng Ingatkan soal Pentingnya Musyawarah dan Qanun Asasi
Sikapi Polemik PBNU, Pengasuh Pesantren Tebuireng Ingatkan soal Pentingnya Musyawarah dan Qanun Asasi
Surabaya
Lokomotif Kereta Kertanegara Mogok di Kediri, Perjalanan Molor 151 Menit
Lokomotif Kereta Kertanegara Mogok di Kediri, Perjalanan Molor 151 Menit
Surabaya
BMKG Prediksi Cuaca Ekstrem di Surabaya dan 38 Kota/Kabupaten di Jawa Timur Mulai 11–20 Desember 2025
BMKG Prediksi Cuaca Ekstrem di Surabaya dan 38 Kota/Kabupaten di Jawa Timur Mulai 11–20 Desember 2025
Surabaya
Detik-detik Copet Beraksi di Stasiun Gubeng, KAI: Wajah Pelaku Sudah Teridentifikasi
Detik-detik Copet Beraksi di Stasiun Gubeng, KAI: Wajah Pelaku Sudah Teridentifikasi
Surabaya
Baca berita tanpa iklan. Gabung Kompas.com+
Unduh Kompas.com App untuk berita terkini, akurat, dan tepercaya setiap saat
QR Code Kompas.com
Arahkan kamera ke kode QR ini untuk download app
Baca berita tanpa iklan. Gabung Kompas.com+
Baca berita tanpa iklan. Gabung Kompas.com+
Komentar di Artikel Lainnya
Baca berita tanpa iklan. Gabung Kompas.com+
Close Ads
Bagikan artikel ini melalui
Oke
Apresiasi Spesial
Kirimkan Apresiasi Spesial untuk mendukung Jurnalisme KOMPAS.com
Kolom ini tidak boleh kosong.
Dengan mengirimkan pesan apresiasi kamu menyetujui ketentuan pengguna KOMPAS.com. Pelajari lebih lanjut.
Apresiasi Spesial
Syarat dan ketentuan
  1. Definisi
    • Apresiasi Spesial adalah fitur dukungan dari pembaca kepada KOMPAS.com dalam bentuk kontribusi finansial melalui platform resmi kami.
    • Kontribusi ini bersifat sukarela dan tidak memberikan hak kepemilikan atau kendali atas konten maupun kebijakan redaksi.
  2. Penggunaan kontribusi
    • Seluruh kontribusi akan digunakan untuk mendukung keberlangsungan layanan, pengembangan konten, dan operasional redaksi.
    • KOMPAS.com tidak berkewajiban memberikan laporan penggunaan dana secara individual kepada setiap kontributor.
  3. Pesan & Komentar
    • Pembaca dapat menyertakan pesan singkat bersama kontribusi.
    • Pesan dalam kolom komentar akan melewati kurasi tim KOMPAS.com
    • Pesan yang bersifat ofensif, diskriminatif, mengandung ujaran kebencian, atau melanggar hukum dapat dihapus oleh KOMPAS.com tanpa pemberitahuan.
  4. Hak & Batasan
    • Apresiasi Spesial tidak dapat dianggap sebagai langganan, iklan, investasi, atau kontrak kerja sama komersial.
    • Kontribusi yang sudah dilakukan tidak dapat dikembalikan (non-refundable).
    • KOMPAS.com berhak menutup atau menonaktifkan fitur ini sewaktu-waktu tanpa pemberitahuan sebelumnya.
  5. Privasi & Data
    • Data pribadi kontributor akan diperlakukan sesuai dengan kebijakan privasi KOMPAS.com.
    • Informasi pembayaran diproses oleh penyedia layanan pihak ketiga sesuai dengan standar keamanan yang berlaku.
  6. Pernyataan
    • Dengan menggunakan Apresiasi Spesial, pembaca dianggap telah membaca, memahami, dan menyetujui syarat & ketentuan ini.
  7. Batasan tanggung jawab
    • KOMPAS.com tidak bertanggung jawab atas kerugian langsung maupun tidak langsung yang timbul akibat penggunaan fitur ini.
    • Kontribusi tidak menciptakan hubungan kerja, kemitraan maupun kewajiban kontraktual lain antara Kontributor dan KOMPAS.com
Gagal mengirimkan Apresiasi Spesial
Transaksimu belum berhasil. Coba kembali beberapa saat lagi.
Kamu telah berhasil mengirimkan Apresiasi Spesial
Terima kasih telah menjadi bagian dari Jurnalisme KOMPAS.com
Login untuk memaksimalkan pengalaman mengakses Kompas.com
atau